По оценкам синоптиков, прошедший тайфун Хаян стал одним из самых сильных за всю историю наблюдений. Циклону присвоили пятую, наивысшую категорию опасности.
Агенство Reuters со ссылкой заявление полиции Филиппин сообщает, что в результате супертайфуна в одной лишь центрально-филиппинской провинции Лейте погибли около 10 тысяч человек. Команда ООН по оценке и координации работ по ликвидации последствий стихийных бедствий, последствия тайфуна сравнили с мощнейшим и разрушительным цунами 2004 года. Также поступают сообщения о массовых грабежах и мародерстве в постарадавших районах Филиппин.
Тайфун “Хайян”, обрушившийся на провинцию Лейте Филиппинских островов 8 ноября, унес жизни по меньшей мере 10 тысяч человек. В результате стихии пострадали уже 4 млн человек, передает Reuters. Без крыши над головой остались 500 тысяч человек
Президент Филиппин Бенинго Акино отказался назвать даже приблизительное количество погибших, заметив, что власти располагают неполными данными. Количество погибших может вырасти в разы по мере поступления новой информации.
Полоса разрушений протянулась по центральной части Филиппин примерно на 600 км. В городах циклон разрушил до 80% построек, деревни оказались обесточены, дороги заблокированы поваленными деревьями.
Тайфун поднял сильные волны высотой до 5 метров, они смысли многие постройки на островах Самар и Лейте.
Пик разрушений зафиксирован в городе Таклобан, сюда уже прибыла команда ООН по оценке и координации работ по ликвидации последствий стихийного бедствия. Серьезные разрушения наблюдаются в городах Пало, Ормок, Бурауэн.
По оценкам синоптиков, прошедший тайфун стал одним из самых сильных за всю историю наблюдений. Циклону присвоили пятую, наивысшую категорию опасности.
Порывы ветра в центре циклона достигали 315-379 километров в час. Предыдущий ураган-”рекордсмен” “Камилла”, обрушившийся на побережье США в 1969 году, имел скорость порядка 305 километров в час.
“Хайян” покинул Филиппины и вчера утром достиг северного побережья Вьетнама. Скорость ветра снизилась до 185 километров в час, однако власти республики решили перестраховаться и эвакуировали 500 тысяч человек из прибрежных районов. На фото: Вьетнамцы собирают мешки с песком, готовясь к приближающимся к их побережью тайфуну “Хайян”, 9 ноября.
Отметим, еще позавчера в Красном Кресте заявляли, что, согласно предварительным докладам от его сотрудников, работающих на месте катастрофы, число жертв тайфуна “Хайян” только в прибрежном городе Таклобан составляет около 1 тысячи человек – примерно столько тел плавает на его улицах. Еще около 200 человек погибли в провинции Самар. Самар и Таклобан – это наиболее пострадавшие от тайфуна территории.
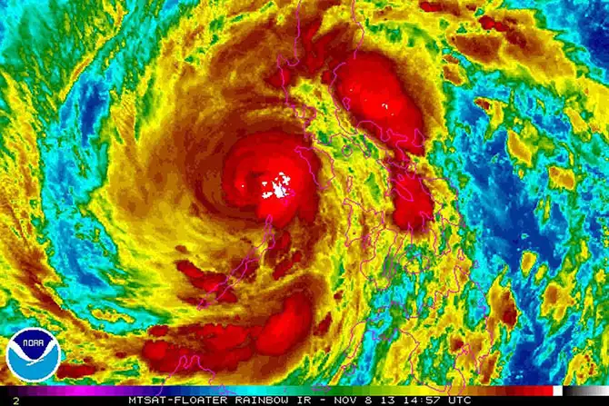
Формирование мощного тайфуна Хайян видно на фотографии, сделанной со спутника в четверг.
В результате прохождения тайфуна разрушены многочисленные дома, также ураган спровоцировал сход нескольких селевых лавин и наводнение. Помимо этого, ураганом были уничтожены линии электропередачи и телекоммуникации.
Спутниковое изображение от 8-го ноября демонстрирует удар тайфуна Хайянь по Филиппинам.
Тайфун “Хайян”, обрушившийся на центральную часть Филиппинского архипелага 8 ноября, начался с цунами: высота волн достигала 6 метров.
Согласно сводке национального управления гражданской обороны Филиппин, по последним данным, стихийное бедствие затронуло в той или иной степени почти 4,5 миллиона человек, крова над головой лишились полмиллиона.
“По данным МИД и Ростуризма, в зоне бедствия на Филиппинах могли находиться от 110 до 150 россиян. Пока нет информации, есть ли среди них пострадавшие”,- передает РИА Новости.
Владелец магазина направляет свой пистолет, чтобы остановить толпу людей, пытавшихся штурмовать его бакалею в городе Таклобан, провинции Лейте, центральной части Филиппин в воскресенье, 10 ноября.
Большая часть погибших либо утонули, либо были завалены обломками рухнувших зданий. С землей сравнялись целые населенные пункты. Во временных убежищах по-прежнему остаются около миллиона местных жителей.
Женщина ищет убежища со своими детьми во время прохождения мощного тайфуна Хайян в Себу
Помощь Филиппинам в ликвидации последствий тайфуна окажут американские военные.



















