История в фотографиях - Новосибирск
12 февраля 1926 года - Принято решение о переименовании Ново-Николаевска в Ново-Сибирск
Фотография 1895 года, на которой изображен поселок Александровский, ставший в том же году Ново-Николаевским, чуть позже - городом Ново-Николаевском, переименованным затем в Новосибирск.
Снимок из книги Гюнтера Нерлиха "Сибирь".
В 1892 году на месте будущего города Новосибирска располагались деревни Кривощёковской волости Томского округа:
с.Кривощёково - 506 человек
д. Малое Кривощёково - 479 человек
д.Бугры - 460 человек
д.Криводановка - 595 человек
д.Вертков
Просека в сосновом бору на месте Николаевского (Красного) проспекта. (Фото 1896 г.)
В 1896 г. для прокладки основной магистрали поселка в сосновом бору была прорублена с юга на север поселка просека. Она начиналась от Старобазарной площади,
находившейся в устье р. Каменки, пересекала всю центральную часть поселка и доходила до железной дороги. Эта просека и стала в дальнейшем главной улицей
города - Николаевским проспектом. Просека была шириной в 25 сажен (54 м), то есть была в 2 раза больше, чем все другие улицы города.
Общий вид Ново-Николаевского поселка
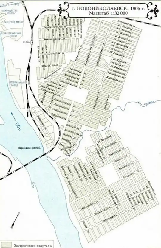
Ново-Николаевского поселок расположен на правом берегу Оби и речке Каменке впадающей в нее на земле принадлежащей кабинету его императорского величества и входящей в состав Алтайского Горного округа. Вызванный к жизни проведенной железной дорогой поселок разрастается с замечательной, чисто американской быстротой, приобретая с каждым годом все большее значение благодаря выгодному своему местоположению. Поселок раскинулся на протяжении восьми квадратных верст и представляет характерную картину кипучей, лихорадочной жизни первых пионеров в новом крае: вырастает изба поселенца, к ней прилепляется другая, третья и так образуются целые улицы домов, нередко кривых. с не выкорчеванными пнями, но всегда полных куда-то стремящихся деловых людей. Поселок делится на шесть улиц и сорок кварталов
Переселенческий пункт при станции "Обь" (Фото 1890 г.)
Вблизи станции Обь, на берегу реки Оби, в сосновом лесу находился один из самых больших и обустроенных на Транссибирской магистрали врачебно-питательный пункт для переселенцев, с кухней, хлебопекарней, столовой, погребом, ледником, баней, прачечной и лазаретом.
Вид на железнодорожный мост и село Кривощеково на левом берегу р.Оби. (Фото 1897-1899 гг.)
Мост через Обь - один из первых в России консольных мостов, его металлические пролеты общим весом в 270 тыс. пудов из железа изготавливались на Урале на Воткинском заводе подрядчика строительства инженера В.И. Березина. Строился мост под руководством инженеров Г.М. Будагова, Е.Е. Зенкевича, В.А. Линка,
Н.М. Тихомирова.
Церковь во имя Св. Пророка Даниила на привокзальной площади. (Фото 1900 гг.)
В 1898 г. на привокзальной площади поселка по проекту К. К. Лыгина, архитектора при управлении Средне-Сибирской железной дороги, было построено деревянное здание церкви во имя св. пророка Даниила. Сооружалась церковь на средства фонда им. Императора Александра III, финансировавшего строительство церквей и школ по линии Транссибирской железной дороги и пожертвования. Располагалась церковь на пересечении ул. Межениновской (ул. Челюскинцев) и ул. Вокзальной (Шамшурина). В 1925 г. была закрыта, позднее снесена.
Церквь во имя Св. Пророка Даниила. (Фото 1913-17 гг.)
В 1913 г. был освящен второй предел во имя Преображения Господня Вокзальной церкви. В приходе церкви размещались женская церковно-приходская школа, 2-классное мужское училище и 6 одноклассных школ. Располагалась церковь на пересечении ул.Межениновской (ул. Челюскинцев) и ул.Вокзальной (ул.Шамшурина).
В 1925 г. была закрыта, позднее снесена.
Николаевский (Красный) проспект (Фото 1910-х гг.) Быстрое изменение облика главной улицы обусловлено небывалыми темпами роста молодого города. Если в 1893 г. в поселке Кривощековском проживало 740 жителей, то к моменту проведения переписи 1897 году - 7,8 тыс., к 1926 году - 120, 1 тыс. человек
Площадь Ленина. (Фото 1920-х гг.)
Главная площадь города неоднократно переименовывалась. В начале 20 века это площадь Базарная или Ярмарочная, т.к. на ней проходила Новониколаевская ярмарка, строились торговые ряды и лавки. В 1920 году с установлением советской власти она становится Красной, а после создания памятника жертвам гражданской войны - в 1922 г. переименовывается в площадь Жертв революции. В 1924 г., увековечивая память о Ленине, ее назвали площадью Ленина, с 1935 г. по 1961 г. носит имя Сталина. Затем ей возвращается название площадь Ленина.
Магазин "Готовое платья Фоменко" на Николаевском (Красном) проспекте. (Фото 1910 г.)
В начале 20 в. Ново-Николаевск превратился в крупный торговый центр Сибири. Большое распространение получило строительство торговых домов, с магазином в нижнем этаже, с конторскими помещениями наверху. В 1912 г. в Ново-Николаевске насчитывалось свыше 1,5 тыс.торговых заведений, более 300 складов с товарами, около 90 постоялых дворов.
Дом купца А.И. Кагана на улице Гудимовской (Урицкого). (Фото 1908-1916 гг.)
Дом был построен в 1908 г. для хлеботорговца А.И. Кагана. В 1920 г. здание было экспроприировано и передано открывшемуся городскому народному музею.
Затем здание было перестроено и долгие годы в нем располагался 1 роддом.
1911г. Первое реальное училище. Экстерьер сохранился довольно хорошо. Т.н. "крячковские школы" в количестве двенадцати были построены после большого пожара. Узнаваемые башенки использовались для накопления воды. В каждой из школ были душевые и ватерклозеты. Централизованный водопровод появится уже в Новосибирске в 1929 году. Говорят, что после их строительства Ново-Николаевск стал вторым городом в империи (после Ярославля) со всеобщим школьным образованием.
Площадь Ленина. (Фото 1926 г.)
В 1921 г. Ново-Николаевск становится политическим и административным центром Сибири, в нем строятся ряд административных зданий. В начале 1920-х годов на площади Жертв Революции (Ленина) было построено два формирующих ее здания - Дом госучреждений (1922 г.) и административно-торговый корпус "Сибкрайсоюза" (1926 г). Оба здания построены по проекту архитектора А.Д. Крячкова.













