Один день: Будний день ассистента ветеринарного врача
Пишет velvet_moon_(Елена Лобская-Харчук): Привет, меня зовут Лена, я живу в Калининграде и работаю ассистентом ветеринарного врача: таким гибридом фельдшера, у которого функций больше, чем у медсестры, врача-интерна (включая полноценное ассистирование на операциях) и санитарки (потому что мыть полы и инструменты приходится тоже нам). В общем, этакий универсальный сотрудник, главная задача которого – сделать работу врача максимально комфортной. У меня и моих коллег есть три вида смен: работа в процедурном кабинете, в стационаре с функциями рентгенлаборанта, и в операционной, где я и провела смену 27 сентября 2011 года, на удивление достаточно спокойную.
Утро началось в 7:00 со звонка будильника. Разодрав глаза, я моментально вспомнила, что сегодня - долгожданный запланированный фотодень! Нащупав на полке над кроватью приготовленную мыльницу, я сразу же схватила ее и щелкнула в утреннюю темноту не глядя - и, разумеется, наткнулась на котов, замеревших на гостевой постели, которую я никак не могу убрать уже третий день. Иногда мне кажется, что в какой угол моей квартиры не ткни вслепую - все равно наткнешься на кота, ведь у меня их сейчас аж шестеро... Правда, четверых кровь из носу надо пристраивать в ближайшее время. Итак, мой первый утренний кадр.
За ним сразу же второй вдогонку - я встала с кровати и также вслепую сфотографировала спящего мужа и пытающуюся изображать из себя сову мою любимую кошку по имени Клопы ).
После водных процедур и загрузки кофеварки я вышла погулять с собакой, временно проживающей на моей территории. Собаку - 9-месячного лабрадора - 2 дня назад меня попросил приютить знакомый, бедолагу (собаку, а не знакомого;)) выбросили "хозяева", и он 3 месяца слонялся по дачному обществу, пока на него наконец-то не набрели добрые люди. Фотографий с прогулки, увы, нету, потому что утром случилось ЧП: покоренная его двухдневной послушностью, я ушла на поле и решилась спустить его с поводка. однако пес, смиренно шагавший, не натягивая поводка, услышав щелчок карабина, моментально как полоумный кинулся бежать, и пока я его догоняла, растеряла любое желание фотографировать. Поэтому снимок сделала только когда мы уже благополучно вернулись домой и приступили к завтраку.
Собака (я зову его Терклтон) трапезничала, а я пила кофе и красилась под "Теорию большого взрыва"
Идти до клиники 15-20 минут, но в половине девятого я с мокрой головой поняла, что засмотрелась сериал и закопалась, и избежать опоздания к 9:00 можно лишь одним способом - попросить мужа подбросить. К тому же сегодня я решила стерилизовать одну из своих кошек, поэтому совесть меня не сильно мучила, пока я его будила - всегда можно прикрыться нежеланием стрессировать животное прогулкой ) Муж вышел сонный, недовольный и фотографироваться не хотел
На работе с первых же шагов меня встретил аврал, поэтому мне уже сложно систематизировать снимки и расположить их в хронологическом порядке. С первых шагов я побежала помогать в старционар работать с тяжелым животным. Увы, 14-летний французский бульдог с неврологическими нарушениями скончался почти сразу. На фотографии он еще, разумеется, жив, Саша берет у него анализы - это первое, что я увидела, зайдя на работу.
Ира, ночной ассистент, умудрилась простыть за ночь. Анюта делает ей внутривенную инъекцию аскорбинки и глюконата кальция. У нас есть девчонки не с ветеринарным образованием, а со средним медицинским, Аня - одна из них.
Наконец около 11ти удалось найти время для перекура. Фотографирует меня кто-то из коллег, уже не помню, кто )
На сегодня не было запланировано в расписании ни одной операции, кроме стерилизации моего Демона. Сегодняшний день я выбрала, потому что в смене со мной работает Таня - наш врач, отвечающий за обучение персонала, и Саша - ассистент, получающий высшее образование и готовящаяся стать врачом-интерном. Саша раньше никогда не оперировала и очень всего боится, я решила довериться ей и принесла свою кошку на стерилизацию. Демону около 4,5 месяцев, но у меня было ощущение, что она вот-вот потечет, и в целях профилактики рака молочных желез в будущем я торопилась успеть стерилизовать ее до первой течки. На приеме много народу, два врача (врач приема - наш главный врач, ее фотографий не будет, не хотела ее нервировать лишний раз и врач стационара - Таня, выходящая на прием, так как стационар пуст) заняты, поэтому я неторопливо готовлю операционную к стерилизации Демона.
Это инструменты, которые нам понадобятся, начиная сверху слева: бельевые цапки для закрепления стерильной пеленки, гемостатики - 2 на яичники, один на матку, один на всякий случай, стерильная простынка, ручка для скальпеля и лезвие, хирургический пинцет, пачка стерильных салфеток, 2 нитки - ПДО и полипропилен, ножницы, иглодержатель.
Врачи работают, операционная накрыта, а мы в пустом стационаре страдаем от скуки
Пока нечем заняться, мы уделяем повышенное внимание Марику - нашей слепой сове, живущей в клинике. изначально это была сова нашего бывшего генерального директора, но с тех пор, как он уехал в Москву, птичка живет у нас в стационаре. Он питается курицей, но сегодня у него был пир - лаборант привезла ему из леса ужа, которого кто-то переехал машиной. Марику понравилось. Жуткий красный глаз у него из-за вспышки.
Наташа, наш старший ассистент и ассистент процедурного кабинета в сегодняшней смене, знакомит с Мариком Демона )
Наконец толпа рассосалась и около 12 часов я получаю команду готовить Демона к операции. Мы делаем ей седацию, она расслабляется и я ставлю ей внутривенный катетер, через который она будет получать общий наркоз и инфузию
Наркоз добавлен, Саша пытается ее интубировать. Саша очень боится, у нее трясутся руки, и у нее не получается, поэтому в результате интубировать ее приходится мне (я тоже за нее боюсь, но, видать, не так сильно, как наш молодой врач). на фото - Сашины пока безуспешные попытки.
Саша отлучается поистерить и побояться, а я готовлю операционное поле (фотографировала Саша трясущимися руками)
Ждем Таню как куратора, у Саши шалят нервишки
Все идет просто отлично, Саше легко удается найти матку (когда матка маленькая, это достаточно сложно, особенно для новичка)
Меня вызывают из операционной - нужно сделать снимки коту, которого подозревают на кишечную непроходимость. Это Сашина работа как ассистента стационара, но так как она занята, я иду работать за нее. На снимке - приготовленный набор для зондового кормления барием - рентгеноконтрастным веществом, по движению которого по ЖКТ мы сможет проследить работу желудка и кишечника, и кассета с рентгенпленкой.
Пока я делаю первые снимки, Саша с Таней заканчивают. Демона помещают в стационар.
Снимки с барием делаются с определенной периодичностью, и кот, сначала бывший спокойным, пугается и начинает бросаться. После этого снимка он пробежит по стенам всего стационара, поцарапает всех нас, потом бросится на хозяйку. Нам придется отдать его домой, и он вернется с хозяйкой в 9 вечера на очередной снимок.
Саша приходит в себя после пережитого шока от первой операции и сумасшедшего кота)
А я начинаю мыть инструменты после операции - это моя обязанность как ассистента хирургии. Все хирургические инструменты сначала на час замачиваются в перекиси водорода, затем тщательнейше моются под проточной водой с щеткой и чистящим средством, затем ополаскиваются и замачиваются на час в дезсредстве. после этого еще раз моются и вешаются на стенд сушиться. Когда они высохнут, наборы будут помещены стерилизоваться в сухожаровой шкаф или пароформалиновую камеру.
В половине третьего приносят обед - начальство спонсирует нам горячее питание из столовой недалеко расположенного ВУЗа. Обычно на выбор несколько блюд - сегодня был мясной салат, макароны, курица, котлеты, рис с мясом, булочки. Я выбрала макароны и курицу.
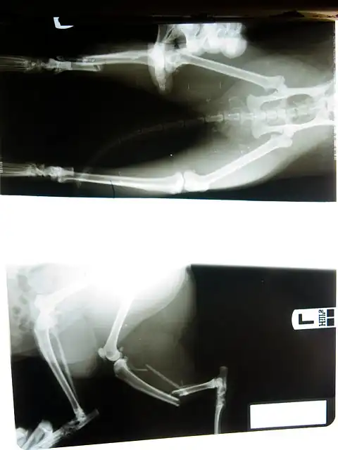
От обеда (правда, я доесть успела) нас отвлекает экстренное животное - кошка, выпавшая с пятого этажа. Помимо безалаберных хозяев, виной тому на удивление теплый день, а ведь сезон уже закончился. Летом в жару у нас бывает до 15 не умеющих летать кошек за один день. Дальнейшие рассуждения на тему неспособности содержать питомцев в безопасности я опущу, фотографии скажут все за меня. Впрочем, эта кошка - счастливица, у нее нету внутренних повреждений, лишь перелом большой и малой берцовых костей. Но за операцию беспечным хозяевам придется заплатить не менее 7 тысяч - хороший повод подумать о том, насколько дешевле и приятнее обошлись бы если не кондиционеры, то хотя бы сетки на окна.
Ее снимок.
После того, как я наложила кошке фиксирующую повязку и помогла ассистенту в процедурном, выдается свободная минутка для кофе.
В это время Демон уже совсем отошла от наркоза. прошло около 4 часов с окончания операции, а она уже вовсю играется, будто ничего и не было
В клинике наступает тишина, мы с Таней и Сашей в стационаре устраиваем небольшой мозговой штурм - Таня описывает нам пациента, мы с Сашей задаем наводящие вопросы и ставим диагнозы.
Тренировка мозгов нарушается щенком йоркширского терьера, пришедшим удалить молочные зубы - у маленьких пород собак часто встречаются персистирующие молочные клыки. Смотрите какие огромные нерассосавшиеся корни - сами бы ни за что не выпали.
Для меня это означает еще одну партию инструментов на помывку. Стоматологические инструменты обрабатываются точно также, как и для полостных операций.
и снова тишина... Ассистент процедурки Наташа и администратор Лена самозабвенно точат лясы, отдыхая перед непременной ежевечерней бурей.
В 21:00 смена стационара меняется, приходит ночной врач Настя и ассистент Катя. Катя тоже готовится стать молодым врачом, поэтому Настя, проводя небольшую операцию по удалению патологической ресницы, растущей на внутренней стороне века у молодого грифона и вызывающей травмы роговицы, все подробно объясняет Кате. На часах - половина десятого, по идее моя смена заканчивается через полчаса.
Не тут-то было.. Пока мы в хирургии развлекаемся с простенькой операцией, регистратор заходит сообщить о том, что нам везут экстренное животное - 8-летнюю суку стаффордширского терьера с пиометрой, гнойным воспалением матки. мы быстро заканчиваем эту операцию и я готовлю операционную для экстренного хирургического вмешательства. фото - за минуту до того, как занесут собаку.
Это собака после операции. Меньше сорока минут потребовалось нам с нашим главным врачом на то, чтобы загрузить животное в наркоз, подготовить к операции, интубировать, разрезать, вырезать огромную матку, полную гноя, и зашить брюшину, подкожную клетчатку и кожу, несмотря на немалый объем вмешательства (собака весит около 30 кг).
Несмотря на то, что на конец прошлой операции я уже находилась на рабочем месте лишние полчаса, я остаюсь и на следующую операцию - снятие дренажей из брюшной полости у суки фокстерьера, у которой, кстати, была та же проблема, что и у предыдущей собаки - пиометра, только здесь менее удачный случай: из-за того, что хозяева не обратились вовремя, ее матка рванула, залив гноем всю брюшную полость и вызвав перитонит. Но теперь все хорошо, собака поправилась на удивление всем, и теперь мы снимаем дренажи, через которые мы промывали воспаленные внутренности.
Я устала и очень халтурно мою операционную - только стол и полы. Основательную уборку придется ночью проводить Кате. Уже больше 23х, я на работе больше 14 часов, за мной приехал муж, поэтому я как могу собираю нестерильные инструменты, рассказываю Кате про наборы, которые ей нужно будет собрать, включаю кварц и собираюсь уходить.
но не тут-то было! Просто так из клиники не скрыться, и меня, пока я запихиваю Демона в переноску ловит Настька и просит постричь грифону, который готовится пойти домой, когти. Я не отказываю. Фотографирует муж, который уже стоит наготове и проявляет недовольство.
Наконец мы едем домой. Слава богу, мой милый муж приготовил ужин, купил пива и погулял с собакой. ПОэтому я просто поднимаюсь на лифте и радуюсь любвеобильности Терклтона и кошек, выбегающих встречать нас. Это последний кадр, после которого незаряженный аккумулятор на моем фотоаппарате умирает - очень вовремя)
Итак, после этого кадра я прохожу на кухню, сажусь в любимое кресло и пишу этот пост )
Всем спасибо за такой интересный опыт )











