Что находится на дне Марианской впадины?
Марианская впадина — это самый глубокий желоб из всех, которые известны на Земле. Он расположен на западе Тихого океана. Последние замеры проводились в 2011 году. Тогда было установлено, что до 11 км ниже уровня моря впадина “не дотягивает” всего 6 м.
Дно Марианской впадины не могло не заинтриговать учёных. А труднодоступность этого места только ещё сильнее увеличила тягу к исследованиям. Так что же скрывается на дне Марианской впадины и какие неожиданные находки были найдены там?
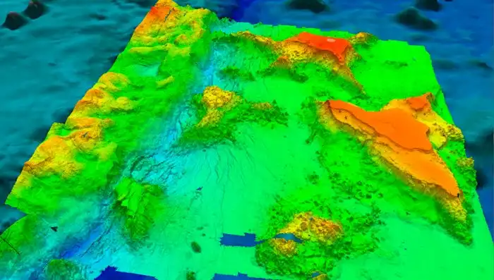
Горы
При спуске на самое дно мира меньше всего ожидаешь столкнуться с горами. Тем не менее американские учёные из океанографической группы в 2010 году провели исследования и обнаружили именно горы. Исследователи наткнулись на минимум 4 горных хребта. Они появились на месте столкновения Тихоокеанской плиты и Филиппинской.
Горная система на дне Марианской впадины
Такое внезапное открытие объясняется на самом деле просто: участки суши поднимаются и опускаются, причём довольно сильно. То, что сейчас является дном Марианской впадины, 180 миллионов лет назад было горами, которые гордо возвышались над окрестностями. Однако движение плит привело к нынешнему положению дел.
Живые существа
Учёные не могли себе представить, что на глубине почти 11 км, под невероятным давлением, которое способно уничтожить что угодно, могут обитать рыбы. Тем не менее знакомство с ними состоялось ещё при первом погружении в 1960 году. Больше всего удивительные создания напоминали камбалу: они были такими же плоскими. Что и неудивительно, если учитывать чудовищное давление.
Pseudoliparis swirei – одна из самых глубоководных рыб
Впрочем, данные были скорректированы. Именно рыбы живут на глубине 8,5 км. Одни из самых интересных — псевдолипарисы. Чтобы выдержать чудовищное давление, они прошли ряд мутаций. При этом часть скелета является не костью, а хрящом. По всей видимости, такая “гибкость” также работает на выживание на чудовищной глубине.
Внизу нет света, поэтому все обитатели Марианской впадины слепы. Они также по большей части лишены окраски, поскольку она не играет особого значения в их жизни.
Токсины
Однако далеко не все находки радуют. Дно Марианской впадины, максимально удалённое от деятельности человека, в течение долгого времени считалось экологически чистым. Но учёные установили, что это не так. В 2015 году исследователи из Университета Абердина взяли для изучения пробы воды, ила и мелких организмов. Они были поражены, когда обнаружили невероятно высокий уровень токсинов.
Особенно большой оказалась концентрация дифенилов и дифенил-эфиров. Это опасные вещества, которые способны вызвать онкологические заболевания и бесплодие. Их производство в ряде стран в 70-х годах было или запрещено, или серьёзно ограничено. Однако выяснилось, что такие меры не до конца сработали. Ядовитые вещества всё равно продолжали накапливаться — на самом дне океанов.
Дифенил (бифенил, фенилбензол) — органическое соединение, ароматический углеводород с химической формулой C12H10.
Учёные предполагают, что это связано с тем, что эти токсины — тяжелее воды. И они с нею не смешиваются. В итоге продолжали тонуть, а также сдвигаться сильными течениями до тех пор, пока опасные вещества не оказались на самом дне в буквальном смысле слова. В итоге теперь они там накапливаются.
Микропластик и мусор
Однако далеко не только токсины угрожают экосистеме Марианской впадины. Один из исследователей, погружавшийся на дно Марианской впадины, Виктор Весково обнаружил там пластиковый мусор. Это был пакет и обёртки от конфет.
Учёные признаются: кажется сюрреалистичным спускаться на такую глубину, чтобы в итоге наткнуться на мусор. Однако это также красноречиво указывает на круговорот всего в природе.
Загрязнение дна Марианской впадины стало предметом дискуссий в научных кругах. Учёные говорят о том, насколько микропластик опасен для всей окружающей среды. На планете в буквальном смысле нет уголка природы, который был бы свободен от человеческой деятельности. Кажется невероятным, чтобы загрязнение угрожало Марианской впадине, но по факту так оно и есть.
Как найденные токсины, так и микропластик — это вещества, с которыми микроорганизмы не могут справиться самостоятельно. Следовательно, разлагаться они будут в течение длительного времени. И пока что невозможно даже понять, как именно деятельность человека скажется на уникальной экосистеме Марианской впадины.
Ситуация усугубляется тем, что достичь такой глубины — невероятно сложно и дорого. Сейчас можно буквально по пальцам пересчитать все случаи погружений на самое дно. Следовательно, заниматься очищением этого угла природы никто не будет, потому что технически нет возможности. Так что единственный доступный способ защитить обитателей дна Марианской впадины — ответственно подходить к загрязнению природы вокруг себя. Потому что мы даже не знаем, на что и как могут повлиять наши действия. Учёные продолжают надеяться на то, что последующие находки на дне Марианской впадины будут более позитивными.


















